Де шукати і як правильно вибрати відповідний конкурс Програми «Горизонт Європа» – поради від фахівців «Офісу Горизонт Європа в Україні» НФДУ
До уваги науковців, дослідників, інноваторів, які мають намір взяти участь у Програмі «Горизонт Європа»! У відповідь на численні запити щодо підбору конкурсів «Горизонту Європа» публікуємо декілька способів їх пошуку в рамках Програми.
1. Насамперед нагадуємо, що EU Funding & Tenders Portal (далі – Портал) є інструментом, що містить низку можливостей, зокрема, підбір конкурсів, пошук партнерів тощо.
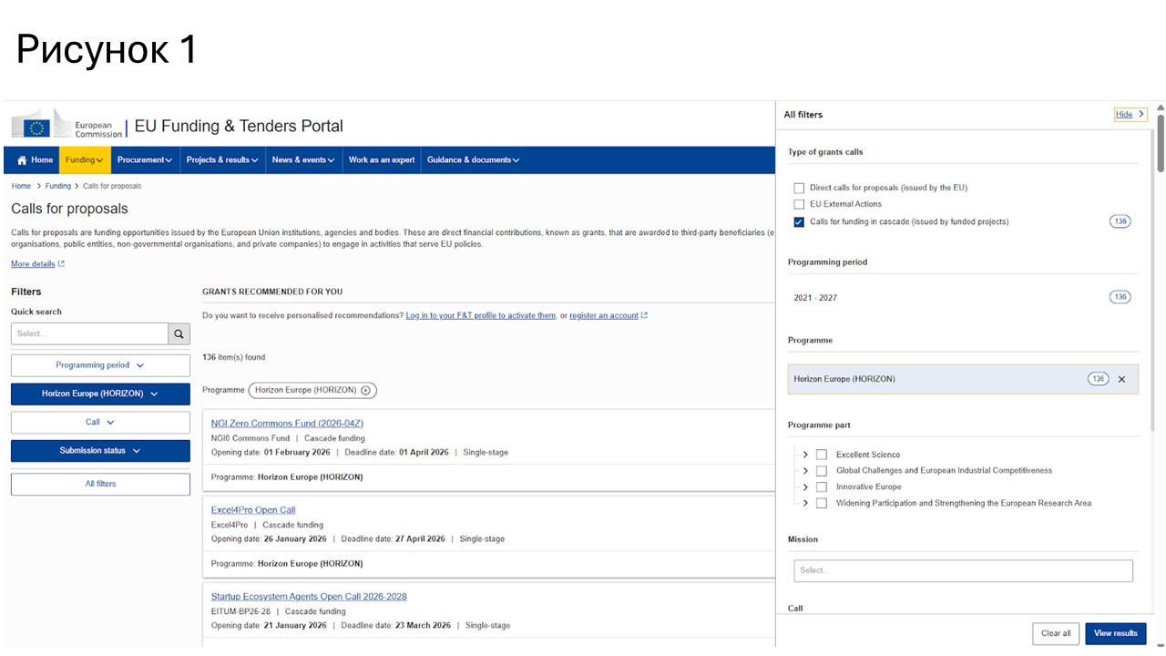
➠ Опція Calls for funding in cascade. На Порталі, відсортувавши за фільтрами, як показано на Рисунку 1 нижче або за посиланням EU Funding & Tenders Portal, будуть доступні вже відкриті конкурси (Open for submission) і такі, що будуть відкриті найближчим часом (Forthcoming).
Вибравши конкурс для ознайомлення (натиснувши на його назву), отримуємо детальну інформацію, а саме: період реалізації майбутнього проєкту, вартість робіт, що виділено для його реалізації, та детальні умови, форми для заповнення (див. Рисунок 2).
➠ Опція пошуку за ключовими словами. На Порталі відсортувати конкурси за ключовим словом, наприклад, «climate». Система пропонує відкриті конкурси і ті, що відкриються найближчим часом (див. Рисунок 3).
2. Також для пошуку профінансованих проєктів доцільно використовувати платформу CORDIS – офіційну базу даних Європейської комісії, що містить інформацію про проєкти, які вже отримали фінансування в межах програм ЄС, зокрема «Горизонт Європа». Платформа дозволяє ідентифікувати діючі консорціуми, координаторів та тематичну спрямованість проєктів, а також встановити прямий контакт з організаціями, що реалізують відповідні проєкти, з метою подальшої співпраці.
➠ Пошук на цій платформі можна також здійснити за ключовим словом у відповідному полі. Аналогічно попередньому прикладу, у пошукове поле можна ввести слова, наприклад, «wind turbine» (див. Рисунок 4).
Звертаємо увагу, що за замовчуванням результати пошуку не обмежуються проєктами Програми «Горизонт Європа», а охоплюють усі програми ЄС (див. Рисунок 5).
Із метою уточнення результатів доцільно скористатися фільтрами пошуку, зокрема, відсортувати проєкти відповідно до Програми «Горизонт Європа», що дозволяє зменшити кількість результатів (див. Рисунок 6).
Додатково можливе уточнення результатів за сферою застосування. Для цього у полі «Domain of Application» можна вибрати відповідні напрями. Як приклад, застосування фільтрів «Climate Change and Environment» та «Energy» значно скорочує кількість пошукових результатів (див. Рисунок 7).
➠ Крім того, можливо здійснити пошук проєктів з урахуванням наявності партнера з відповідної країни. Як видно з результатів, за заданими ключовими словами та вибраними фільтрами проєкти за участі організацій з України відсутні (див. Рисунок 8).
➠ Вибравши конкретний проєкт, аплікант отримує детальну інформацію про терміни його реалізації, бюджет, склад консорціуму та координатора. Для налагодження комунікації з координатором проєкту можна скористатися функцією «Contact the organisation».
Такий підхід не гарантує участі у відповідному проєкті, однак у процесі комунікації з координатором може сприяти досягненню партнерських домовленостей, залученню до екосистеми проєкту або участі в ньому у ролі третьої сторони (за умови наявності відповідної можливості).
3. Поза тим, корисним інструментом є пошук на брокерських заходах (brokerage events). Інформація про більшість офіційних брокерських заходів розміщується на платформі b2match, оголошення про заходи публікуються заздалегідь та дублюються на офіційних сторінках Єврокомісії та відділу «Офіс Горизонт Європа в Україні» НФДУ у розділі новин «Корисна інформація». До участі в брокерських заходах потрібно ретельно готуватись, щоб за короткий час представити себе і можливості своєї організації для налагодження подальшої комунікації та залучення у ролі майбутнього партнера.







